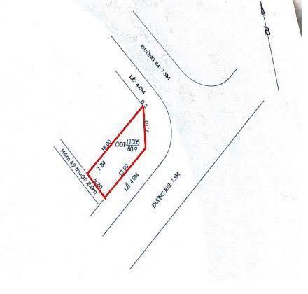
Bán nền góc đẹp 80.9m² đường B4 & B10 KDC Phú An, P. Phú Thứ, Cái Răng, Cần Thơ.

Mã tin: BDS235273 | 02/11/2025 09:48:49 | Lượt xem: 11

Loại: Bán đất | Khu vực: Cái Răng | Giá: 3 tỷ


Bán nền góc đẹp 80.9m² đường B4 & B10 KDC Phú An, P. Phú Thứ, Cái Răng, Cần Thơ.
- Vị trí nền góc sáng, đường song trục chính A2, khu vực đông dân rất thuận tiện kinh doanh mua bán,...
Nền có sẵn dàn móng 1 trệt 1 lầu gần 200 trđ
- Diện tích: 5.2 x 18m = 80.9m², vạt góc.
- Lộ giới: 16m.
- Hướng: Đông Bắc & Đông nam.
- Pháp lý: Sổ hồng thổ cư 100%.
- Giá bán: 3 tỷ thương lượng
Liên hệ 0942495498 Phương - 0949946604 Quý

(Đăng nhập để gửi tin nhắn cho người đăng)




Link tin đăng: https://livecantho.com/can-tho/nha-dat-can-tho?view=nhadat&setauthor=0&id=235273

Cách copy link: nhấp chuột phải vào đường link --> Chọn "Copy link address" hoặc "Sao chép địa chỉ liên kết"

Share link: dán đường link vừa copy lên Facebook, Zalo hoặc trình duyệt web của bạn.


Thành viên đăng tin: Nguyễn Chí Thiện

Điện thoại: 0942495498 - 0949946604

(Đăng nhập để gửi tin nhắn cho người đăng)

Share tin lên Facebook: Copy đường dẫn của tin dán lên Facebook của bạn.

CÓ THỂ BẠN QUAN TÂM

Nhà 1T1L Khu Tái Định Cư Phú An (Phát triển Nhà) Giá 3 tỷ
2 giờ trước
Nhà 1T1L Đường Bế Văn Đàn Trung tâm TP Giá 4tỷ250tr
2 giờ trước
Nhượng nền Mặt tiền lộ Vòng Cung view sông .Ninh Kiều Giá 2tỷ890tr TL
2 giờ trước
Nền thổ cư hẻm 11 Đa Khoa Trung Ương Giá 1tỷ850tr.
2 giờ trước
Nhượng 1.721m2 Đất mặt tiền QL61C – Phong Điền Giá 4,x triệu/m2
2 giờ trước
Nhượng 3 công đất mặt tiền Trương Văn Diễn Giá mới 3triệu350/m2
2 giờ trước
Bán nền 89,2m2 Đường Trần Văn Sắc Khu Nông Thổ Sản Giá 2 tỷ900tr
2 giờ trước
Nhượng căn nhà 1T2L Mặt tiền Nguyễn Đệ -NK. Có thu nhập cho thuê.
2 giờ trước
Bán nền góc đẹp 80.9m² đường B4 & B10 KDC Phú An, P. Phú Thứ, Cái Răng, Cần Thơ.
6 giờ trước
BÁN NỀN 10 B10 KDC TÂN PHÚ - DT 5 x 20 - GIÁ 1 TỶ 850 TRIỆU - LH 0942495498 Phương
6 giờ trước
????????Nhà biệt thự góc Trần Văn Sắc vs Đs5 KDC Diệu Hiền
6 giờ trước
BÁN NỀN ĐƯỜNG B10 ĐẸP KHÔNG CỐNG KHÔNG TỤ, KDC PHÚ AN P. HƯNG PHÚ, TP CẦN THƠ
6 giờ trước
BÁN NHÀ 1 TRỆT 3 LẦU ĐƯỜNG 26 KHU CÔNG TY 8 - P HƯNG PHÚ - CẦN THƠ. GIÁ 6 TỶ
6 giờ trước
BÁN NỀN B41 DS5 KHU VĂN HÓA TÂY ĐÔ - P. CÁI RĂNG - TP. CẦN THƠ
6 giờ trước
Nắm chủ:BÁN NỀN B28 ĐƯỜNG SỐ 1 KDC VĂN HÓA TÂY ĐÔ- LH 0942495498 PHƯƠNG
6 giờ trước
BÁN NHÀ ĐỐI DIỆN RẠCH BẾN BẠ , P. HƯNG PHÚ (P. TÂN PHÚ CŨ) , TP CẦN THƠ
6 giờ trước
✅NC: Bán nền đẹp 120m2 đường số 3 KDC Nông Thổ Sản, Phú Thứ, Cái Răng, Cần Thơ
6 giờ trước
Chủ gửi ✅Bán nền 100m² đường B3 KDC Tân Phú, phường Hưng Phú, TP. Cần Thơ
6 giờ trước
BÁN NỀN ĐƯỜNG PHẠM VĂN NHỜ KDC DIỆU HIỀN. ( Vị trí nền block đầu tiên kế Võ Nguyên Giáp )
6 giờ trước
Bán nền 26A4 KDC Tân Phú, P Tân Phú, Q Cái Răng, Cần Thơ.
6 giờ trước